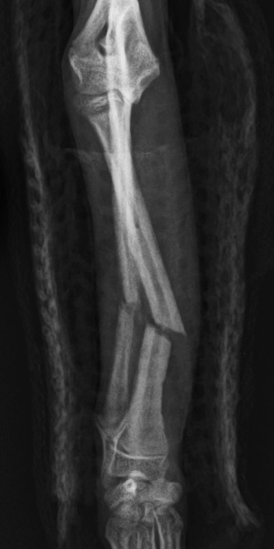
橈尺骨骨折
トイプードル(8カ月齢)
ボール運動中に転倒
手術前

手術後

手術前

手術後

橈尺骨骨折
ポメラニアン(6カ月齢)
高所から落下
手術前

手術後

手術前

手術後

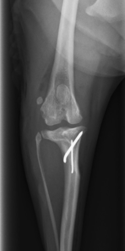
脛骨骨折
ウェルシュコーギー(4歳)
散歩中に転倒
手術前

手術後

手術前

手術後

大腿骨遠位成長板骨折
猫(1歳)
高所からの落下
手術前

手術後

手術前

手術後

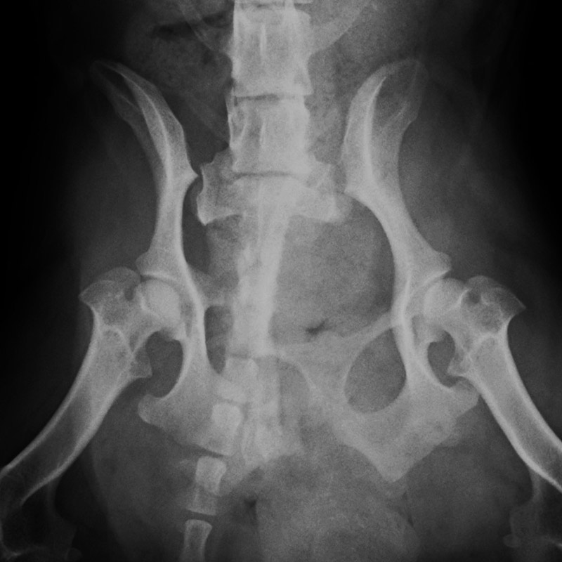
骨盤骨折
猫(2歳)
交通事故
手術前

手術後

手術前

手術後

仙腸関節脱臼
ミニチュアダックスフント(10歳)
交通事故
手術前

手術後

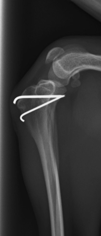
再発性肩関節脱臼(肩関節固定術)
トイプードル(8歳)
ソファーから飛び降りた後に右前肢挙上
手術前

手術後

手術前

手術後

外傷性膝蓋骨脱臼
マルチーズ(1歳)
フローリングで転倒後に右後肢挙上
手術前

手術後

手術前

手術後

膝蓋骨脱臼 グレード3
チワワ(9カ月齢)
生後半年頃より右後肢の間欠的な挙上
手術前

手術後

手術前

手術後

膝蓋骨脱臼 グレード4
ポメラニアン(10カ月齢)
飼い始めの頃より右後肢の間欠的な挙上
手術前

手術後

手術前

手術後

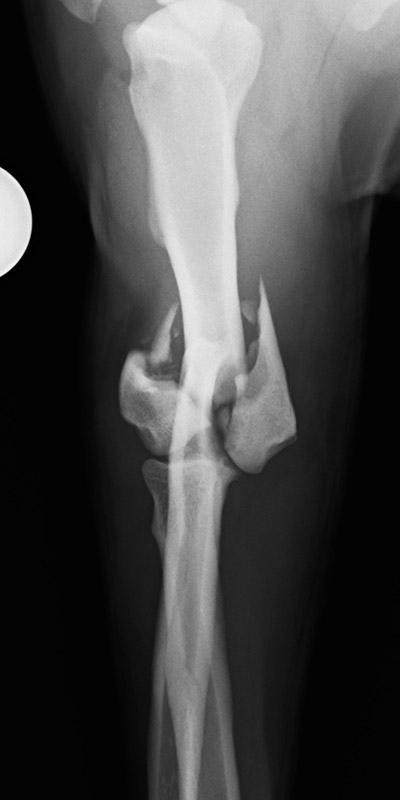
前十字靭帯断裂(膝蓋骨脱臼との併発症例)
柴犬(13歳)
散歩中段差を登った後に左後肢挙上
手術前

手術後

手術前

手術後

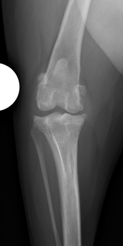
前十字靱帯断裂
柴犬(10歳)
持続する右後肢の挙上、疼痛
手術前

手術後

手術前

手術後

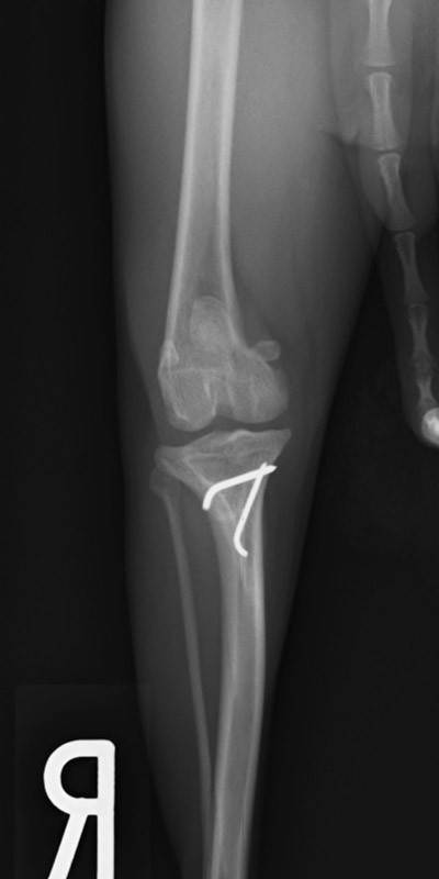
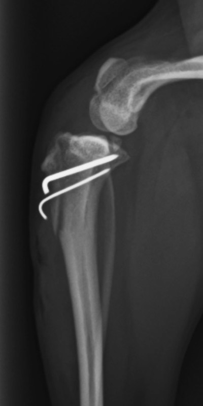
肘関節内骨折
アメリカン・コッカー・スパニエル(5歳)
車の窓から落下
手術前

手術後

手術前

手術後

下顎骨骨折
雑種猫(14歳)
犬に咬まれた
手術前

手術後

手術前

手術後

CT横

CT正面

